huracán Melissa
-
Eco Actulidad
Abinader supervisa daños y ordena medidas inmediatas en Ocoa y Barahona: prioridad a la agricultura y vivienda
San José de Ocoa / Barahona. – El presidente Luis Abinader encabezó este viernes una amplia jornada de supervisión en las provincias San José de Ocoa y Barahona, donde evaluó los daños provocados por el huracán Melissa y dispuso soluciones inmediatas para las familias, productores y sectores económicos afectados. El mandatario aseguró que el Gobierno no dejará a ningún productor…
Leer más » -
Eco Mundial
Jamaica declara “zona catastrófica” tras el devastador paso del huracán Melissa
San Juan, 28 oct (EFE).— El primer ministro de Jamaica, Andrew Holness, declaró este martes al país como “zona catastrófica”, tras el devastador paso del huracán Melissa, que alcanzó la categoría 5 antes de debilitarse a categoría 4 horas después de tocar tierra en Westmoreland, al suroeste de la isla. La medida, adoptada bajo la Ley de Gestión del Riesgo…
Leer más » -
Eco Actulidad
Melissa impacta de forma indirecta a República Dominicana con lluvias y oleaje peligroso
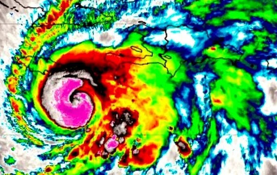
Santo Domingo.– El Instituto Dominicano de Meteorología (Indomet) informó que el huracán Melissa, actualmente de categoría 5 en la escala Saffir-Simpson, continúa generando una extensa masa nubosa que afecta de forma indirecta a la República Dominicana, provocando lluvias, tormentas eléctricas y ráfagas de viento en varias regiones del país. El fenómeno se localiza en la latitud 17.2 Norte y longitud…
Leer más » -
Eco Actulidad
COE mantiene 4 provincias en alerta roja por huracán Melissa
Santo Domingo.– El Centro de Operaciones de Emergencias (COE) informó este domingo que cuatro provincias permanecen en alerta roja, trece en amarilla y catorce en verde, ante el riesgo de inundaciones repentinas, crecidas de ríos y deslizamientos de tierra provocados por el huracán Melissa, que continúa impactando la región del Caribe. Melissa mantiene su intensidad como huracán categoría 4, con…
Leer más »